小麦常见病害有锈病、白粉病、赤霉病、霜霉病等种类。
锈病:将抗病品种作为栽培对象,保持适宜的种植密度,控制氮肥用量,雨季做好开沟排水工作,干旱时注意浇水。用15%三唑酮可湿性粉剂拌种,每100斤麦种的用药量为60-100克。田间发现中心病株时,喷施三唑酮+百菌清等药物。
小麦白粉病:用15%三唑酮可湿性粉剂拌种,药物用量为种子重量的0.2-0.3%。

一、小麦锈病
1、危害特征
(1)条锈成行、叶锈乱、秆锈是个大红斑。
(2)秆锈病的孢子零散生于小麦的茎秆和叶片上,呈橘红色,孢子堆较大,适宜温度为20℃。

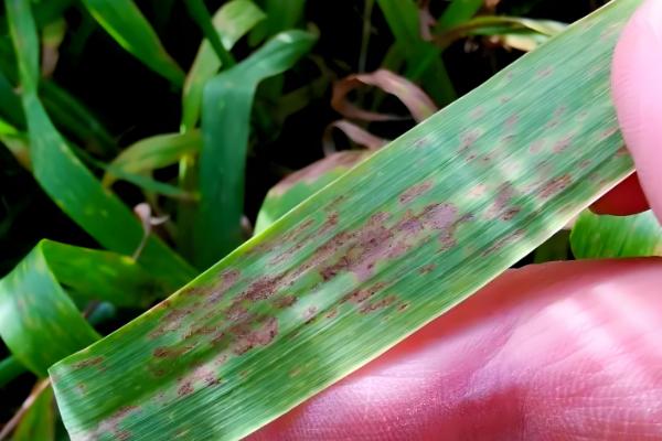
(3)叶锈病的孢子堆分散或密集在小麦叶片上,呈红褐色,颜色比秆锈病淡,孢子堆也比秆锈病小,对温度的要求介于秆锈和条锈之间。
(4)条锈病的孢子堆在小麦穗部和叶片上沿叶脉排列成显著的条斑,颜色为黄色至枯黄色,孢子堆比叶锈病小、气温在5-15℃时,适宜发育,气温低于0℃时发育受阻,有间歇的小雨和雾露天气可助长发育。

2、防治方式
(1)种植抗病品种为主;消灭杂草和自生麦苗,控制越夏菌源;合理密植和适量适时追肥,防止过多过迟施用氮肥;锈病发生时,南方多雨麦区要开沟排水;北方干旱麦区要及时灌水,可补充因锈菌破坏叶面而蒸腾掉的大量水分,减轻产量损失。

(2)种子处理:15%三唑酮湿性粉剂60-100g拌麦种50kg,或11%三唑酮·福美双悬浮种衣剂145-200g/100kg种子,拌种时将药液稀释,然后将药液喷洒到种子上,边喷边拌,拌后闷种4-6小时播种。

(3)小麦返青拔节期后,小麦田发现中心病株,应及时用下列剂防治:三唑酮+百菌清;丙环唑,或氟环唑,对水均匀喷雾,间隔8-10天,连喷2次。

二、小麦白粉病
1、危害特征
(1)白粉病在苗期至成株期均可为害。主要为害叶片,严重时也可为害叶鞘、茎秆和穗部。

(2)病部初产生黄色小点,而后逐渐扩大为圆形或椭圆形的病斑,表面生一层白粉状霉层(分生孢子),霉层以后逐渐变为灰白色,变为浅褐色,其上生有许多黑色小点(闭囊壳)。

(3)病斑多时可愈合成片,并导致叶片发黄枯死。茎和叶鞘受害后,植株易倒伏。重病株一般矮缩不抽穗。抗病品种可看到枯斑反应,霉层非常小很少,或只有枯斑枯点而无霉层。发病严重时植株矮小细弱,穗小粒少,千粒重明显下降,严重影响产量。

2、防治方式
(1)选种抗病丰产品种;在白粉病菌越夏区或秋苗发病重的地区可适当晚播以减少秋苗发病率;防止播量过高,造成田间群体密度过大;控制氮肥用量,增加磷钾肥特别是磷肥用量,可以减轻病害的发生。
(2)种子处理:15%三唑酮可湿性粉剂,按种子重的0.2%-0.3%(有效成分)拌种,或2%戊唑醇湿拌种剂150-200/100kg种子拌种,或11%三唑酮·福美双悬浮种衣剂145-600g/100kg种子拌种,用药剂对适量水,加入种子均匀搅拌,拌种后应及时播种,堆闷时间过长影响发芽和出苗。

(3)发病前期,用下列药剂:三唑酮,氟菌唑。
(4)发生较普遍时,用下列药剂:烯唑醇;腈菌?酮,或烯肟菌胺,对水均匀喷雾。

三、小麦赤霉病
1、危害特征
(1)从幼苗到抽穗都可受害,主要引起苗枯、茎基腐、秆腐和穗腐,其中为害严重的是穗腐。
(2)苗腐:是由种子带菌或土壤中病残体侵染所致,先是芽变褐,后根冠随之腐烂,轻者病苗黄瘿,重者死亡。

(3)穗腐:小麦扬花时,初在颖片上产生水浸状浅褐色斑,后扩大至整个小穗,小穗枯黄;湿度大时,病斑处产生粉红色胶状霉层,后期其上产生密集的黑色小颗粒;用手触摸,有突起感觉,籽粒干瘪并伴有白色至粉红色霉层。
(4)茎基腐:幼苗出土至成熟均可发生,麦株基部组织受害后变褐腐烂,至全株枯死。
(5)秆腐:多发生在穗下第1、2节,初在叶鞘上出现水渍状褪绿斑,后扩展为淡褐色至红褐色不规则形斑或向茎内扩展;严重时,造成病部以上枯黄,有时不可抽穗或抽出枯黄穗;潮湿时病部表面可见粉红色霉层。

2、防治方式
(1)选种抗性品种;深耕灭茬;追肥不可过晚,追肥过晚易造成贪青晚熟,增加侵染机会,且造成无效分蘖,加重流行。

(2)种子处理:50%多菌灵可湿性粉剂100-200g湿拌100kg种子,或15%三唑酮湿性粉剂60-100g拌麦种50kg。

(4)小麦扬花初期,发病前期,用下列药剂:多菌灵;烯唑醇,或丙环唑,对水喷雾。

四、小麦霜霉病
1、危害特征
(1)一般在田间低洼处或水渠旁零星发生。

(2)苗期染病:病苗矮缩,分蘖稍增多,叶片淡绿或有轻微条纹状花叶。

(3)返青拔节后染病:叶色变浅,并出现黄白条形花纹,叶片变厚,皱缩扭曲,病株矮化,不可正常抽穗或穗从旗叶叶鞘旁拱出,弯曲成畸形龙头穗。病株茎秆粗壮,表面覆一层白霜状霉层。

2、防治方式
(1)种植抗病品种;实行轮作,发病重的地区或田块,应与非禾谷类作物进行1年以上轮作;健全排灌系统,禁止大水漫灌,雨后及时排水避免湿气滞留;发现病株及时拔除以减少菌源积累。

(2)种子处理:播前每50kg小麦种子用25%甲霜灵可湿性粉剂100-150g加水3kg拌种,晾干后播种。

(3)必要时在播种出苗后,喷洒下列药剂:硫酸铜;甲霜灵·锰锌;烯酰吗啉·代森锰锌,或霜霉威。


